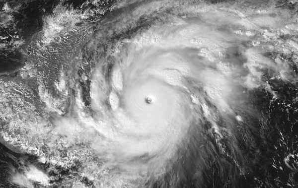
Природа в современном мире кажется взбунтовалась: аномальные смерчи и ураганы, ливни и снегопады, засухи и морозы наводят на мысль, что это не естественный процесс, а результат применения климатического оружия.
Управляемый климат
Военные ведущих мировых держав уже давно находятся в поисках совершенного оружия, способного не столько уничтожать людей, сколько вызывать колоссальные разрушения. Они прекрасно знают в каком направлении нужно работать: речь о геофизическом оружии, которое при воздействии на окружающую среду может провоцировать различные стихийные бедствия: от цунами и землетрясений до наводнений и засух.
В подчинении природных стихий своей воле человек делает первые, но уверенные шаги. Прежде всего это относится к экспериментам по управлению погодой. Люди уже научились искусственным путем провоцировать образование облаков и тумана, вызывать дожди в одном месте и разгонять тучи в другом.
Поначалу подобные эксперименты ставили одну цель: не позволить граду уничтожить посевы или не дать солнцу погубить урожай, но, когда климатическим оружием заинтересовались военные, освоение подобных программ перестало носить мирный характер. Доподлинно неизвестно каких успехов добились разработчики в данной области, так как по понятным причинам их деятельность держится в строжайшей тайне.
Существует гипотеза, что одним из подтверждений применения климатического оружия стала аномальная жара, охватившая европейскую часть России летом 2010 года. Это якобы было вызвано действием комплекса HAARP, расположенного на Аляске в 250 км северо-восточнее Анкориджа.
Власти США уверяют, что станция HAARP предназначена исключительно для изучения полярного сияния, правда научный сотрудник физического факультета МГУ Георгий Васильев ставит под сомнения слова официальных лиц. С его слов, о многом говорит тот факт, что комплекс принадлежит Министерству обороны США. Настораживают и другие данные: на строительство HAARP ушло 20 лет и свыше 250 млн. долларов, а мощность его излучателей составляет 3600 киловатт, что делает их самыми мощными устройствами в мире по воздействию на ионосферу.
У многих специалистов вызывает подозрение связь между окончанием строительства HAARP в 1997 году и началом целой серии катаклизмов, прокатившихся по планете в последующие годы. Самым разрушительным из них было 9-бальное землетрясение 2004 года у берегов Суматры, вызвавшее гигантское цунами. Жертвами стихии тогда стали свыше 300 тысяч человек.
Еще один комплекс, который подозревается в участии в климатических экспериментах – это «Сура», расположенный на полигоне Научно-исследовательского радиофизического института «Васильсурск» недалеко от Нижнего Новгорода. Главная задача созданного еще в СССР проекта «Сура» – нахождение способов защиты нашей планеты от крупных коронарных выбросов в ее атмосферу, которые нередко приводят к сбоям в работе электрооборудования и средств связи.
Впрочем, как и в случае с HAARP никаких подтверждений, что «Сура» использовалась в военных целях нет. Более того, по заявлениям российских и американских специалистов, они находятся в постоянном контакте и проводят совместные исследования.
Сила дождя
Единственным на сегодняшний день подтвержденным фактом применения климатического оружия является операция «Popeye» («Шпинат»), проведенная американскими военными во время Вьетнамской войны. О важности этой операции свидетельствует тот факт, что ей руководил уполномоченный советник при Президенте США по науке и технологиям Доктор Хоргинс.
С целью увеличения количества и продолжительности осадков в небе над Северным Вьетнамом американским пилотам было поручено распылять йодид серебра, что они регулярно и осуществляли с начала 1967-го по середину 1975 года. «Делай грязь, а не войну», – таким стал неофициальный девиз этой программы.
Суть метода проста: попадая в дождевое облако частички йодида серебра, концентрируя в себе влагу, вызывают обильные осадки. В Минобороны США надеялись, что длительные проливные дожди значительно поднимут уровень воды в реках, что приведет как к нарушению снабжения вьетконговцев, так и к массовому голоду. И они не прогадали: кроме создания затрудненного перемещения по тропе Хо Ши Мина небывалые ливни погубили поля с культурными растениями в Северном Вьетнаме.
Однако операция «Шпинат» вылетела американскому бюджету в копеечку: за 5 лет программы было израсходовано около $15 млн долларов. За это время американские пилоты сумели совершить свыше 2 тыс. вылетов и распылить во вьетнамское небо порядка 5,4 тысяч тонн йодистого серебра.
Писатель-метеоролог из США Джеймс Роджер Флеминг сообщает, что общественности неизвестны точные результаты операции «Шпинат» с военной точки зрения, однако по некоторым данным ежегодное количество осадков в регионе в годы Вьетнамской войны увеличилось примерно в 7 раз. Есть мнение, что такие же методы американская военщина использовала и на Кубе, что привело к уничтожению урожая сахарного тростника.
В 60-70-е годы американцы экспериментировали не только с дождевыми облаками, но и пытались подчинить себе ураганы. Для некоторых американских штатов (Техаса, Миссури, Оклахомы, Арканзаса, Канзаса, Теннесси) ежегодные торнадо превращаются в настоящее бедствие. Ученые ломали голову не только над тем, как предотвратить разрушительное действие торнадо, но и как найти способы использовать стихию в военных целях. Для своих экспериментов Минобороны привлекало известного математика Джона фон Неймана.
Несмотря на то, что администрация Никсона всячески отрицала обвинения в использовании климатического оружия, в частности, при операции «Шпинат», журналистское расследование Джека Андерсона для газеты The Washington Post в 1971 году всколыхнуло общественность и возымело широкий политический резонанс.
В 1972 году Пентагон был вынужден свернуть все программы по испытанию климатического оружия, а через 6 лет ООН приняла резолюцию о недопустимости применения климатического оружия в военных конфликтах. Правда скептики уверены, что резолюция из-за большого числа юридических лазеек не может воспрепятствовать желанию отдельных держав использовать климат в своих целях.
Другая часть общественности скептически смотрит на саму возможность появления реального климатического оружия, способного в короткий промежуток времени менять погоду на большой территории. С их точки зрения, эту сложнейшую научно-техническую проблему в ближайшие годы решить невозможно.
Тарас Репин

